Fotó: kesztolc.hu
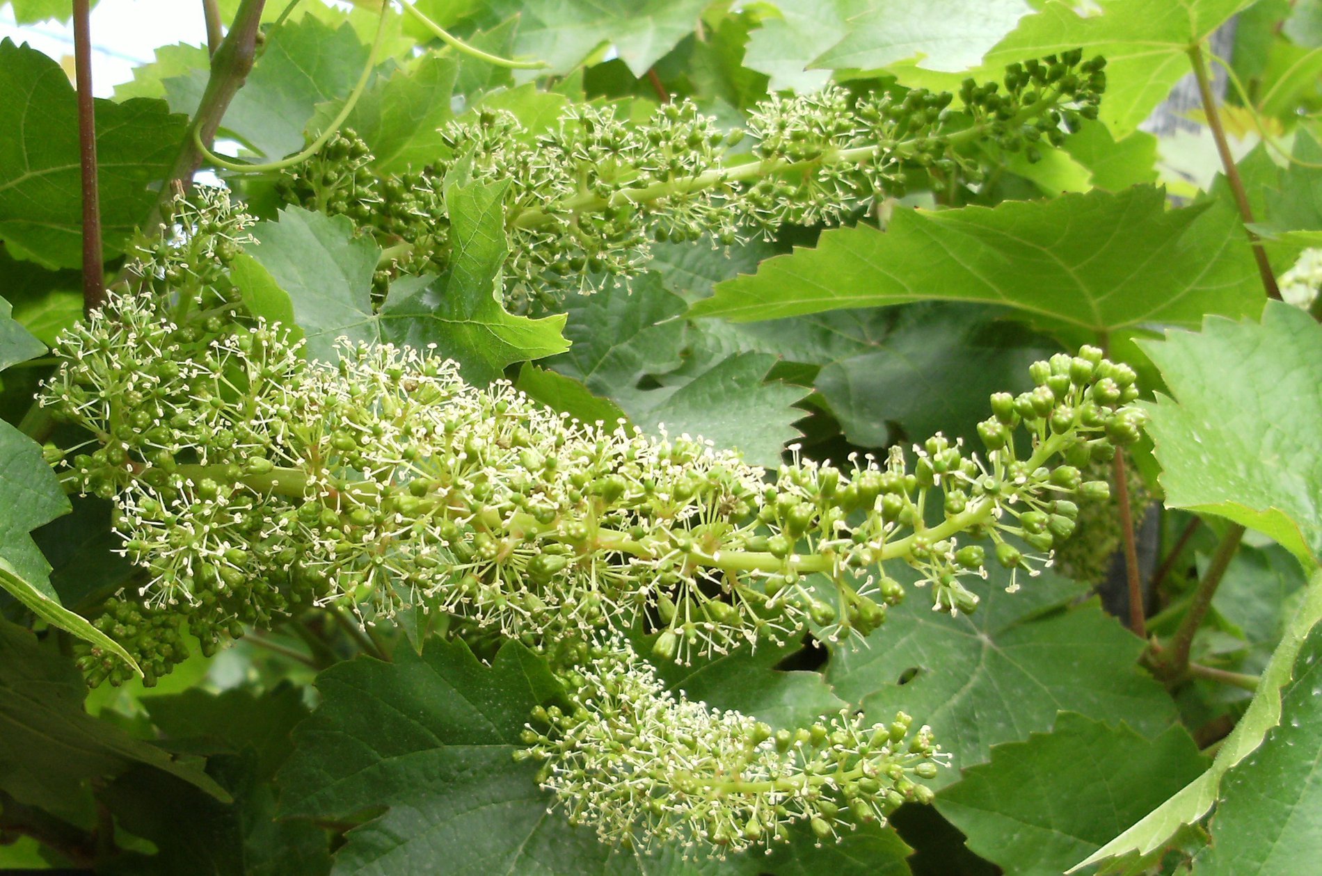
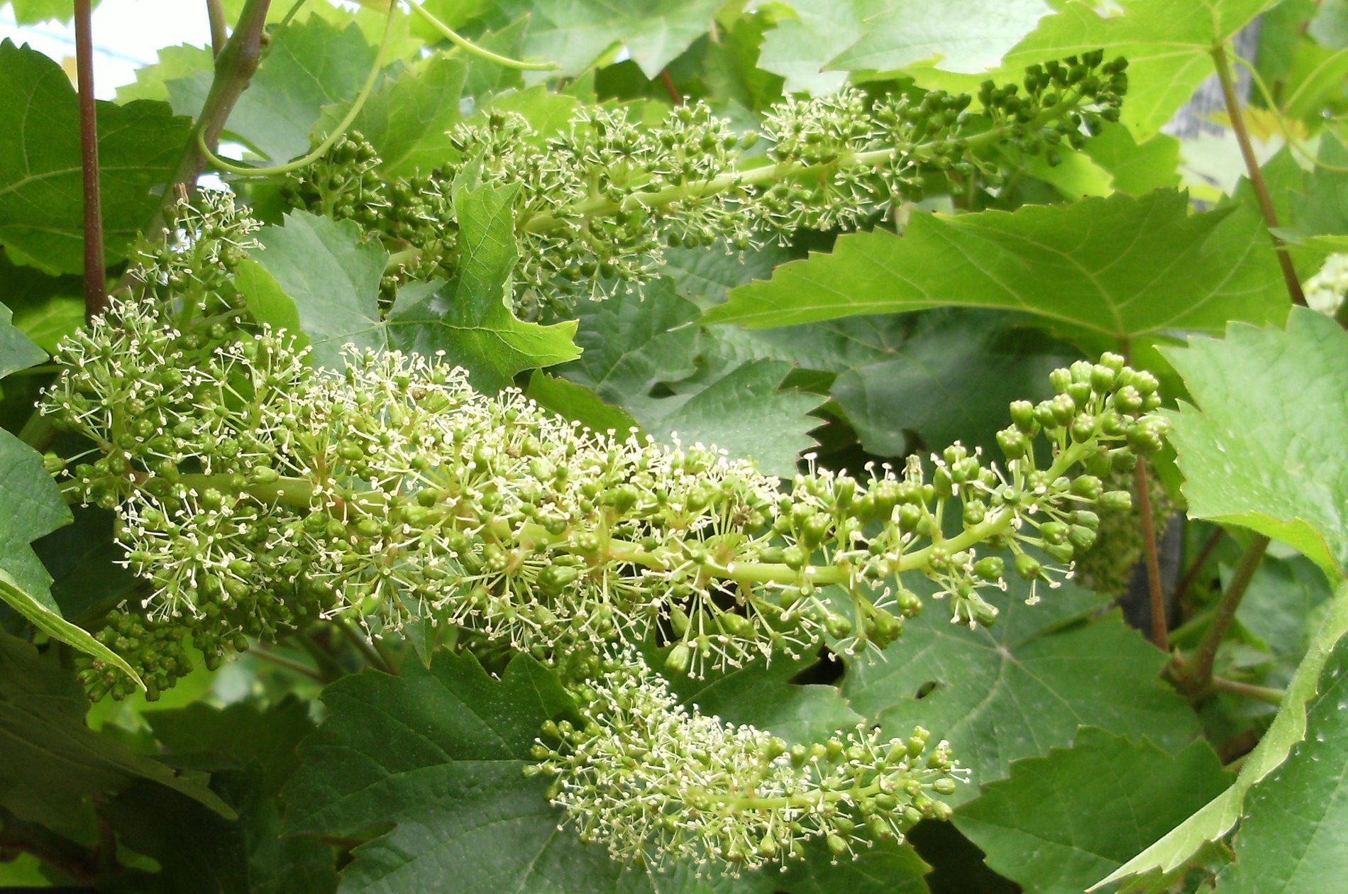
Tisztelt Kertbarátnők és Kertbarátok! Virágzik a szőlő! Már ami maradt belőle a furcsa tél és tavasz után. Azt a megmaradt keveset próbáljuk megmenteni! A fürtkárosító gombák már megjelentek. A szürkepenész, fakórothadás és a feketerothadás alattomos, nehezen felfedezhető tünetekkel fertőz, főleg a korai időszakban.
Először a fürtök kocsányát támadja meg, amely ezután elsorvasztja a szőlőszemeket, amelyek később meg is rothadnak. Fontos az alapos permetezés Quadris és Folicur Solo kombinációjával némi nedvesítőszer hozzáadásával (Nonit). A kezelést legalább kéthetente ismételjük meg, A kén- és réztartalmú szerek ezen betegségek ellen hatástalanok.
Még lehet jelentkezni a LEGSZEBB KONYHAKERTEK versenyre, mely nem elsősorban verseny, hanem az észnek, erőnek és a szorgalomnak a próbára tétele. Nem nehéz a megmérettetés, fontos, hogy legyen többfajta zöldség, gyógynövény, fűszernövény és gyümölcs a kertben, és ezek kisegítői: a komposzttartó, esővízgyűjtő, madáritató és ha lehet, madárodú! Nem árt, ha van a sünöknek is állomáshelyük a kertünkben.
A másodvetések ideje is eljött. Lehet vetni a kaprot, a csemegekukoricát, az uborkát és a tökféléket. A káposztaféléket se hagyjuk ki a sorból, hiszen kimondottan egészséges ételeket lehet készíteni belőlük. A cseresznye és a meggy szára igen jó gyógyhatású, ne pazaroljuk el! Hűvös helyen szárítsuk meg, majd papírzacskóban tárolhatjuk a forrázat készítéséig.

























